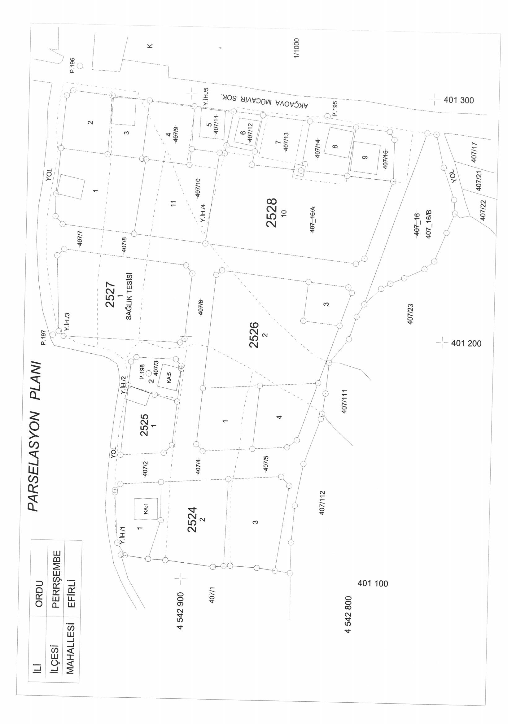
İmar Uygulaması 352 16 Ocak 2026, 14:30
İlçemiz Efirli Mahallesi 407 ada 2, 3, 4, 5, 6, 7, 8, 9, 10, 11, 12, 13, 14, 15 ve 16 parsellerde 3194 sayılı İmar Kanunu'nun 18. Maddesine istinaden yapılacak olan imar uygulaması için Belediye Encümeni' nin 16.10.2025 tarih ve 231 sayılı kararı ile onaylanarak denetlenmesi için Ordu Büyükşehir Belediyesi'ne gönderilmiş ve 26.11.2025 tarih ve 2025/884 sayılı kararı ile uygun görülmüştür.
DIĞER DUYURULAR
-
İmar uygulaması 2558
17 Nisan 2026, 11:38 -
İmar Uygulaması 2556
17 Nisan 2026, 11:36 -
İmar Uygulaması 2557
17 Nisan 2026, 11:34 -
İmar Uygulaması 2555
17 Nisan 2026, 11:30 -
İmar Uygulaması 353
27 Ocak 2026, 09:42 -
İmar Uygulaması 354
16 Ocak 2026, 14:32 -
İmar Uygulaması
16 Ocak 2026, 14:31 -
İmar Uygulaması 352
16 Ocak 2026, 14:30 -
İmar Uygulaması 351
16 Ocak 2026, 14:28 -
İmar Uygulaması 350
16 Ocak 2026, 14:27

